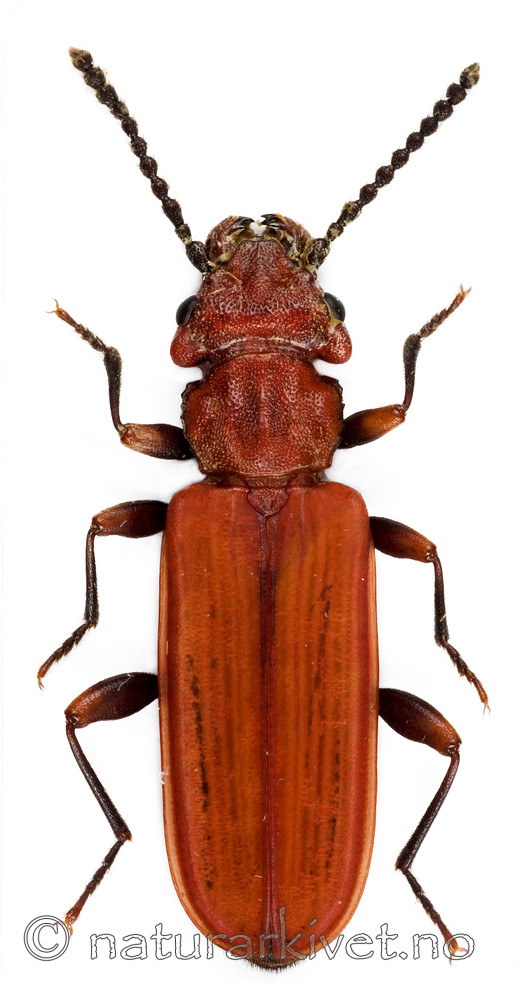
Cucujus cinnaberinus / Sinoberbille (NT)
Flatbiller (Cucujidae) er en artsfattig familie av fargerike biller som lever under barken på døde trær. De fleste artene er mer eller mindre røde. Lite er kjent om biologien deres, men noen arter er knyttet til store trestammer i gammel skog, og er i dag truet av skogbruket. Disse billene fører stort sett en skjult tilværelse under barken på døde trær, og kommer sjelden ut derfra. Man vet lite om biologien deres, men formen på munndelene hos larvene kan tyde på at de er rovdyr. Mange av artene ser ut til å trenge grove, døde stokker og er derfor knyttet til gammel skog. Sinoberbillen (Cucujus cinnaberinus) er 11-15 mm lang og skarpt rød på farge. Den finnes i Nord- og Mellom-Europa østover til Øst-Sibir. Denne arten er regnet som truet over hele Europa og er fredet i EU, også i Norge. Den er trolig meget sjelden i Norge, men har blitt funnet på noen få steder på Sør-Østlandet og er knyttet til gamle, grove osper der den utvikler seg under barken av nylig døde trær. Arten er i nyere tid funnet på ca. 7 lokaliteter. De lokale bestandene er ganske små og veldig utsatte for eventuelle naturinngrep. Billen er fotografert fra samlingen til Stefan Olberg.
Kilde www.wikipedia.no og www.artdatabanken.no
(nt),
Animalia,
Art,
Arthropoda,
Biller,
Cinnoberbagge,
Coleoptera,
Cucujidae,
Cucujiformia,
Cucujoidea,
Cucujus,
Cucujus cinnaberinus,
Dyreriket,
Flatbiller,
Fredet art,
Insecta,
Insekter,
Leddyr,
Polyphaga,
Rødliste,
Rødlisteart,
Sinoberbille
Digitalt bilde (1886x3609px)