Schizotus pectinicornis
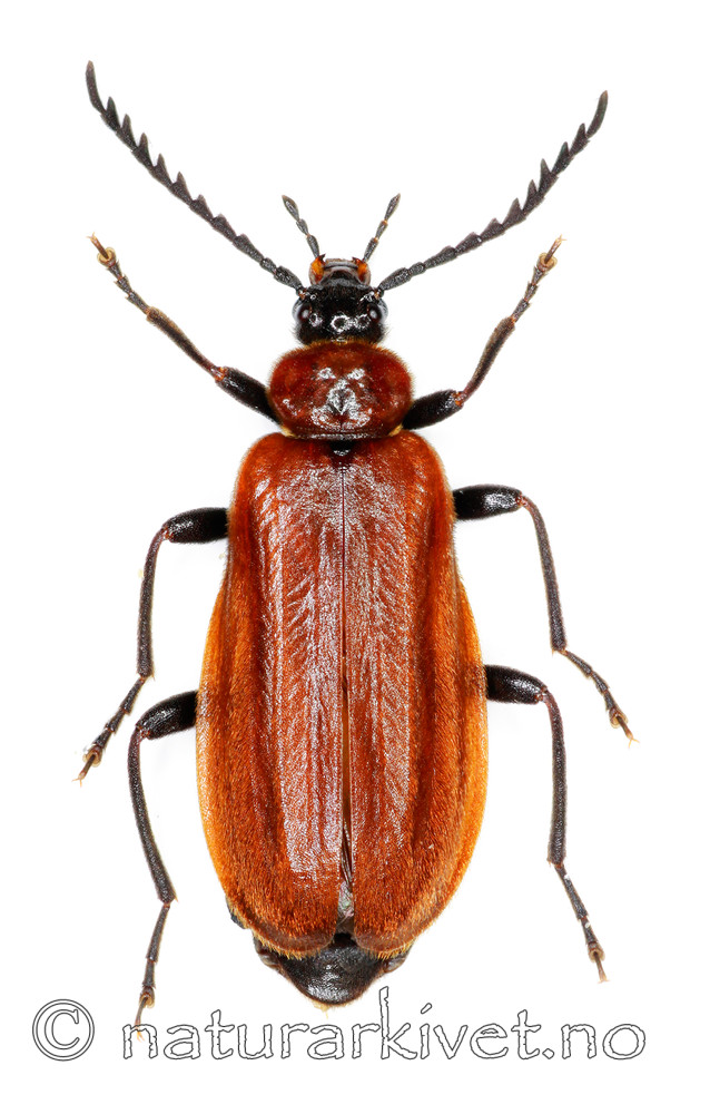
Schizotus pectinicornis er en av kardinalbillene. Larvene til kardinalbillene lever som rovdyr under barken på døde trær. De voksne finner en ofte på blomster der de drikker nektar. De er ofte sterkt farget i rødt, noe som er et varsel om at de er giftige. Kardinalbillene er noen av forvekslingsartene til den sjeldne sinoberbilla. Bildet er tatt fra billesamlingen til Stefan Olberg.
Animalia,
Art,
Arthropoda,
Biller,
Coleoptera,
Cucujiformia,
Dyreriket,
Insecta,
Insekter,
Kardinalbiller,
Leddyr,
Lille kardinalbille,
Polyphaga,
Pyrochroidae,
Pyrochroinae,
Scarce cardinal beetle,
Schizotus,
Schizotus pectinicornis,
Tenebrionoidea
Digitalt bilde (2380x3730px)
KA_091211_pectinicornis